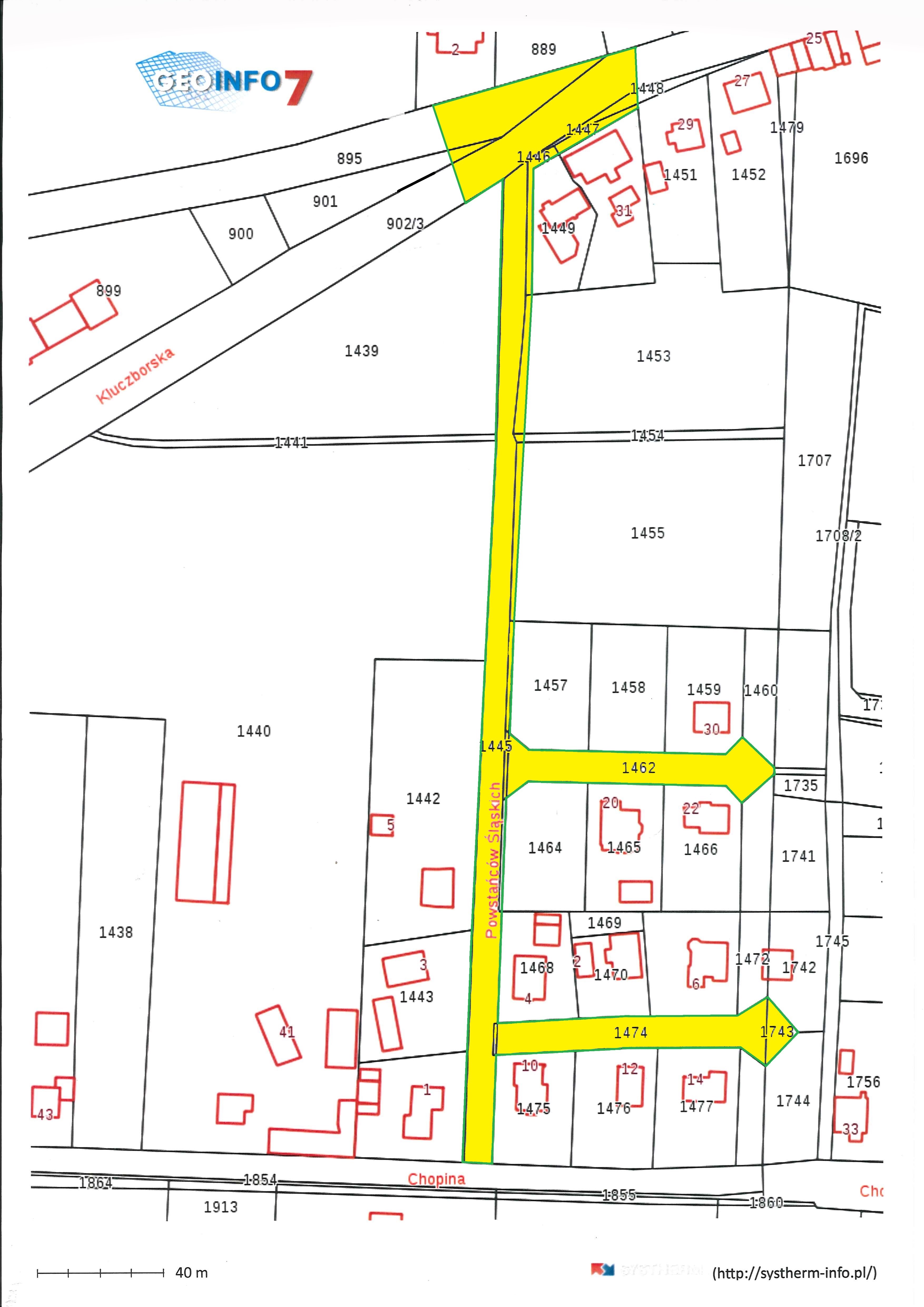
Opracowanie dokumentacji technicznej przebudowy drogi gminnej nr 100849O - ul. Powstańców Śląskich w Gorzowie Śląskim - Postępowanie rozstrzygnięte
Do pobrania
Metryka
| Liczba odwiedzin | 15775 |
| Osoba wprowadzająca informację | Paweł Mrugała |
| Osoba publikująca informację | Paweł Mrugała |
| Osoba odpowiedzialna za informację | Paweł Mrugała |
| Data opublikowania | 2018-08-03 12:21:56 |
| Zmodyfikował | Paweł Mrugała |
| Data ostatniej aktualizacji | 2018-08-16 08:17:47 |
Historia zmian
| Czas | Dane osoby zmieniającej | Opis zmiany | |
|---|---|---|---|
| 2018-08-16 08:17:47 | Paweł Mrugała | Edycja artykułu | |
| 2018-08-03 12:21:56 | Paweł Mrugała | Publikacja artykułu |





